E滁州|bbs.0550.com

 找回密码
 注册
搜索
查看: 7554|回复: 12

[滁州城事] 总用地面积约77亩!容积率1.997!滁州永乐西苑安置房小区项目批前公示

[复制链接]
发表于 2022-11-24 14:10 来自手机 | 显示全部楼层 |阅读模式 | 来自安徽
为推行政务公开,引导公众参与和监督,根据《中华人民共和国城乡规划法》与《中华人民共和国行政许可法》规定,现对本项目予以批前公示。批前公示旨在征询公众意见,并非最终审批结果。如相关利害人对该规划项目有异议,请在公示期内按照下列提供的联系方式进行反馈。
一、项目概况
全椒路与昌辉路交叉口东北侧地块项目总用地面积约77亩。总建筑面积约14万平方米,容积率1.997,建筑密度15.60%,绿地率35%。
二、公示时间
2022年11月23日-2022年12月1日
三、公示地点
1、建设项目现场对外醒目位置
2、滁州市自然资源和规划局网站
四、联系方式
1、滁州市自然资源和规划局政策法规科
滁州市南谯国土规划技术服务中心规划股
2、联系电话:3518028   3067275
联 系 人:周广娟   李元浩
邮  箱  :cznqghj@163.com
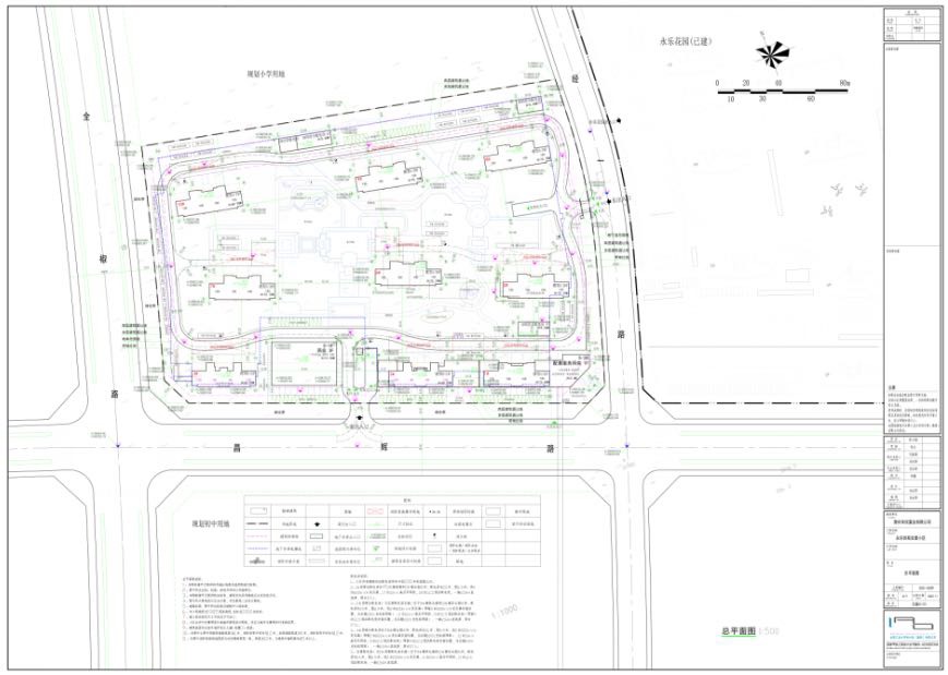
五、项目区位图

 

六、项目工程设计方案总平面图

来源:市自然资源和规划局南谯分局

 

发表于 2022-11-24 14:46 来自手机 | 显示全部楼层 | 来自安徽
都已经施工几个月了
回复本楼 收起回复本楼
B Color Smilies
还可输入 个字符
发表于 2022-11-24 14:47 来自手机 | 显示全部楼层 | 来自安徽
今天不是土拍吗  一点动静没有
收起回复本楼
好人一生平好 : 安排好的
2022-11-24 14:50 来自安徽 回复
B Color Smilies
还可输入 个字符
发表于 2022-11-24 16:17 来自手机 | 显示全部楼层 | 来自上海
厉害了
回复本楼 收起回复本楼
B Color Smilies
还可输入 个字符
发表于 2022-11-25 10:57 来自手机 | 显示全部楼层 | 来自安徽
不是都快盖好了吗?
收起回复本楼
扶正守道 : 那是昌盛,又盖了一个
2022-11-25 12:34 来自安徽 回复
B Color Smilies
还可输入 个字符
发表于 2022-11-25 14:20 来自手机 | 显示全部楼层 | 来自广东
回复本楼 收起回复本楼
B Color Smilies
还可输入 个字符
发表于 2022-11-26 10:23 来自手机 | 显示全部楼层 | 来自江苏
安置房位置太好了吧
收起回复本楼
扶正守道 : 不好啊
2022-11-27 23:03 来自安徽 回复
B Color Smilies
还可输入 个字符
发表于 2022-11-26 10:59 来自手机 | 显示全部楼层 | 来自江苏
同意了
回复本楼 收起回复本楼
B Color Smilies
还可输入 个字符
发表于 2022-11-26 21:16 | 显示全部楼层 | 来自安徽
这个安置房的位置确实很好,
收起回复本楼
扶正守道 : 不好啊,靠近高铁站了
2022-11-27 23:03 来自安徽 回复
B Color Smilies
还可输入 个字符
您需要登录后才可以回帖 登录 | 注册

本版积分规则

帮助|Archiver|手机版|E滁州 ( 增值电信业务经营许可证:皖B2-20110018 )

GMT+8, 2026-2-21 18:26

Powered by Discuz! X3.4

© 2001-2017 Comsenz Inc.

快速回复 返回顶部 返回列表