E滁州|bbs.0550.com

 找回密码
 注册
搜索
查看: 15837|回复: 40

[心声曝光] 分享3月20日在滁州半亩湾塘农家乐的午餐清单!点菜没价格,结账有大惊喜

[复制链接]
发表于 2023-5-18 14:34 来自手机 | 显示全部楼层 |阅读模式 | 来自安徽

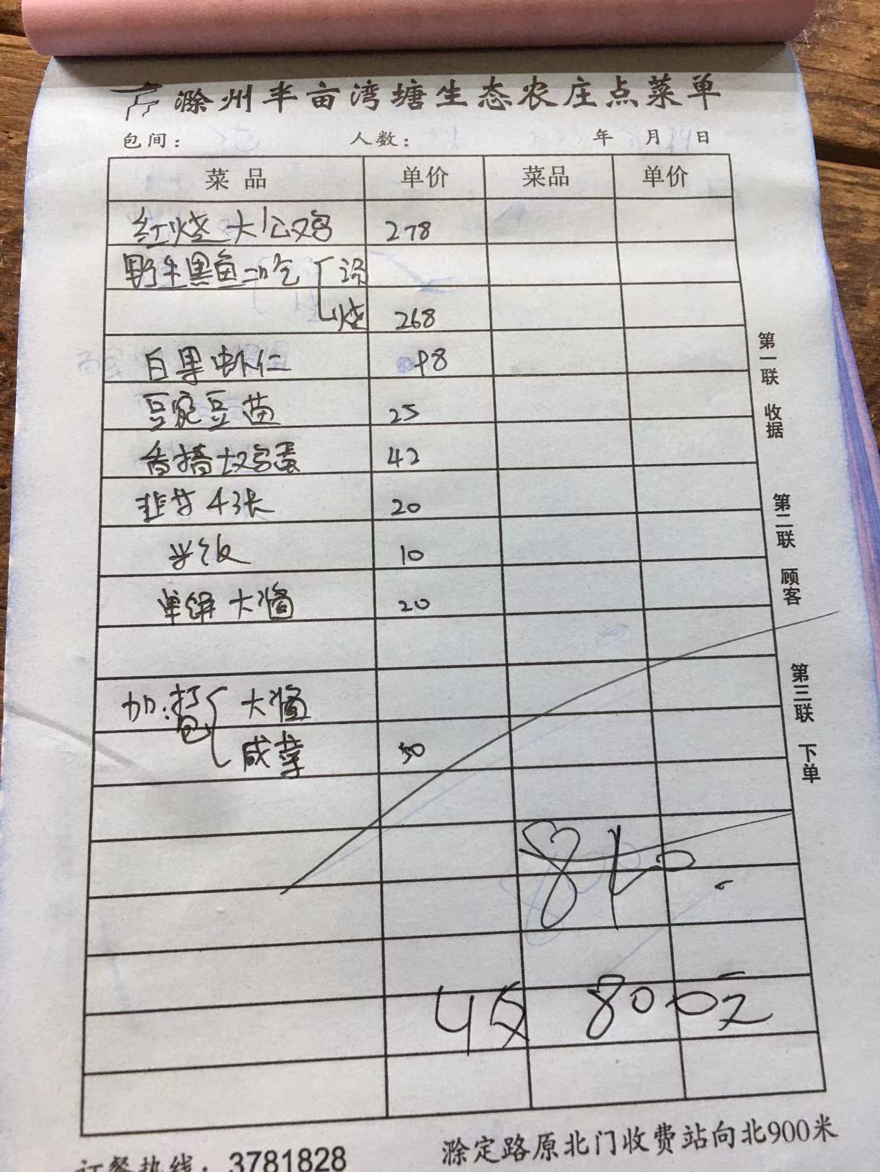
分享3月20日在滁州半亩湾塘农家乐的午餐清单! 点菜没有价格单,结帐时给一个大惊喜! 烧一只公鸡278元! 提醒广大e友节假日出行消费一定要先看价格单! 

也希望咱大滁城的市场物价监管部门,能够认真负责监管净化市场,让每位游客在滁州可以明明白白的消费! 祝愿醉城滁州的明天会更好!

 

 

61(1)(1).png

 

发表于 2023-5-18 15:00 来自手机 | 显示全部楼层 | IP未知
就问味道如何?可正宗?
收起回复本楼
繁华虚无 : 一万元一只也行,提前要说清楚。你愿意卖,我愿意买,就成交了。
2023-5-18 15:47 来自江苏 回复
xxzzjj :
2023-5-18 17:22 来自安徽 回复
B Color Smilies
还可输入 个字符
发表于 2023-5-18 15:09 | 显示全部楼层 | 来自安徽
野生黑鱼?头几天我看某农庄,在市内菜买的黑鱼,不知道可是野生的
收起回复本楼
xxzzjj :
2023-5-18 17:23 来自安徽 回复
B Color Smilies
还可输入 个字符
发表于 2023-5-18 15:20 来自手机 | 显示全部楼层 | 来自安徽
农家乐价格一般都不低,只要自己觉得好就行,如果不行12315投诉,12345应该也可以投诉
收起回复本楼
难忘今宵7880 : 关键没有明码标价有被骗的感觉!
2023-5-18 15:25 来自安徽 回复
2023-5-18 17:23 来自安徽 回复
B Color Smilies
还可输入 个字符
发表于 2023-5-18 15:23 | 显示全部楼层 | 来自福建
没明确给价格,可以打投诉电话
收起回复本楼
难忘今宵7880 : 【滁州12345】您好,您反映的问题:琅琊区西涧路半亩湾塘饭店故意抬高售价的问题,市场监督管理局12315:受理。详细情况说明:经审查,符合受理条件,决定受理。 。请您对办理结果给予评价:“满意”请回复1,“不满意”请回复2#您的不满意原因 。
2023-5-18 15:30 来自安徽 回复
B Color Smilies
还可输入 个字符
发表于 2023-5-18 15:28 来自手机 | 显示全部楼层 | 来自安徽
黑鱼这么贵,有机的??
回复本楼 收起回复本楼
B Color Smilies
还可输入 个字符
发表于 2023-5-18 16:30 来自手机 | 显示全部楼层 | 来自安徽
有些破破烂烂的饭店其实收费并不低
收起回复本楼
xxzzjj :
2023-5-18 17:24 来自安徽 回复
B Color Smilies
还可输入 个字符
发表于 2023-5-18 16:42 来自手机 | 显示全部楼层 | 来自安徽
要不然你那只大公鸡长的跟头牛似的
回复本楼 收起回复本楼
B Color Smilies
还可输入 个字符
发表于 2023-5-18 16:44 来自手机 | 显示全部楼层 | 来自江苏
明码标价,没有公示的价格,必须投诉。这价格真贵。
回复本楼 收起回复本楼
B Color Smilies
还可输入 个字符
发表于 2023-5-18 16:53 来自手机 | 显示全部楼层 | IP未知
搞到一个是一个。
回复本楼 收起回复本楼
B Color Smilies
还可输入 个字符
发表于 2023-5-18 17:52 来自手机 | 显示全部楼层 | 来自安徽
土公鸡价格确实这样贵,不过要明码标价,豌豆苗生的卖14一斤,虾仁价格太高了
回复本楼 收起回复本楼
B Color Smilies
还可输入 个字符
发表于 2023-5-18 18:11 来自手机 | 显示全部楼层 | IP未知
你们几个人就餐的,我去年和朋友两个人吃了四百多,喝多了,也没注意看,就一个黄鳝值点钱,其它家常菜,有毫贵!
回复本楼 收起回复本楼
B Color Smilies
还可输入 个字符
发表于 2023-5-18 19:28 来自手机 | 显示全部楼层 | IP未知
宰客的这些老板,早晚败光家产!
回复本楼 收起回复本楼
B Color Smilies
还可输入 个字符
发表于 2023-5-18 20:15 来自手机 | 显示全部楼层 | 来自安徽
农家乐为什么全军覆没?被五星级酒店价格还高。
回复本楼 收起回复本楼
B Color Smilies
还可输入 个字符
发表于 2023-5-19 00:06 来自手机 | 显示全部楼层 | 来自安徽
简直恶要啊
回复本楼 收起回复本楼
B Color Smilies
还可输入 个字符
您需要登录后才可以回帖 登录 | 注册

本版积分规则

帮助|Archiver|手机版|E滁州 ( 增值电信业务经营许可证:皖B2-20110018 )

GMT+8, 2026-2-26 23:43

Powered by Discuz! X3.4

© 2001-2017 Comsenz Inc.

快速回复 返回顶部 返回列表